Naturgarten Langenau
Was wir vom "Vorbild Wildnis" für Landschaft und Garten lernen können
Als private Initiative gestalten wir seit 2012 ein mehrfach ausgezeichnetes Naturgarten-Projekt in Langenau bei Ulm. Wir schaffen Lebensräume für über 1.000 Arten und teilen unsere Erfahrungen und Resultate in Blog, Gartenführungen und Vorträgen.
- Eure Familie Zwirner -
Auf Instagram folgen:
Blog
Aktuelle Beiträge



Top-Themen
Bild: Abendstimmung an unserem Flachwasserteich nach dem Konzept von Dr. Hans-Christoph Vahle (NABU Niedersachsen): Mehr Natur als Garten ...
Warum einheimische Wildpflanzen?
- Warum sind einheimische Wildpflanzen alternativlos? Was hat das mit Neophyten und Zuchtformen zu tun? Und was ist Koevolution?
- Online-Vortrag "Vorbild Wildnis" (55 Min.)
- Handbuch invasiver Neophyten des Naturgarten e.V.
Insektenschonendes Mähen
- Wie geht insektenschonendes Rasenmähen im Hausgarten?
- Warum gibt es Artenvielfalt nicht ganz ohne Mahd?
- Online-Vortrag "Artenreiche Wiese" (125 Min.)
Gras und Stauden stehen lassen
Insektenfallen ums Haus
- Wie auf insektenschonende Außenbeleuchtung umstellen?
- Hauslüftungsanlagen als Insektenfallen. Einfach Abhilfe schaffen!
12 Fakten zu unseren Bienen
Unser Projekt „Naturgarten Langenau“
Wir gestalten seit 2012 einen 3.100 qm ehemaligen Maisacker am Ortsrand von Langenau (Baden-Württemberg) naturnah.
Heute wachsen hier v.a. heimische Wildpflanzen. Sonnige Wiesenstücke, Totholz, Teiche, Reisig und Trockenmauern bieten vielfältige Lebensräume und Nahrung für Insekten, Vögel, Eidechsen und Igel.
Der Effekt? Die Artenvielfalt nimmt nachweisbar jedes Jahr zu!

Unser Projekt besteht aus drei Teilen, die Hand in Hand gehen:
- Wir setzen Maßnahmen für die Artenvielfalt in die Praxis um.
- Wir messen die Wirksamkeit u.a. mittels Insekten-Monitoring und Fotodokumentation. Hierzu arbeiten hier mit einem Expertennetzwerk zusammen.
- Wir teilen unsere Erfahrungen und Beobachtungen über unsere Website, Blog, Instagram, Gartenführungen und Vorträge.
Auszeichnungen und Preise
Landesnaturschutzpreis 2024
Auszeichnung der Stiftung Naturschutzfonds Baden-Württemberg: "Einsatz mit Elan - Menschen für Naturschutz begeistern"
Deutschland summt! 2023
Platz 1 bei Deutschland summt! 2023. In der Kategorie Bestehende Naturgärten konnten wird die Expertenjury überzeugen.
Deutschland summt! 2022
Platz 1 beim bundesweiten Wettbewerb Deutschland summt! 2022 in der Kategorie Bestehende Naturgärten
TGTA Insektenschutz-Challenge 2022
Gewinner der "Tausende Gärten - Tausende Arten“" (TGTA) Insektenschutz-Challenge 2022.
Burda #beebetter-Award 2022
Ausgezeichnet mit dem 2. Platz beim bundesweiten #beebetter-Award 2022 der Burda Verlagsgruppe in der Kategorie Private Initiativen
33. Zwiefalter Naturfonds Wettbewerb
Gewinner des 33. Zwiefalter Klosterbräu Naturfonds Wettbewerbs 2021/22. Seit 1989 werden ehrenamtliche Umweltinitiativen von einer unabhängigen Fachjury bewertet und prämiert.
Deutschland summt! 2021
Platz 2 beim bundesweiten Wettbewerb
Deutschland summt! 2022 in der Kategorie Bestehende Naturgärten
Prämierung Tausende Gärten - Tausende Arten
Prämierung im Rahmen der Kampagne
Tausende Gärten – Tausende Arten (TGTA) 2020 -2025 des Bundesprogramms Biologische Vielfalt mit
105 von 120 Punkten als "Grüne Oase".
Unsere Motivation: 17.000.000 Gärten
Intensive Bewirtschaftung, Pestizide und sinnloses Ausräumen unserer Landschaften dezimieren Wildpflanzen und Kleintiere radikal. Dazu kommen noch der Verlust von innerörtlichem Grün, zunehmende bauliche Verdichtung sowie Gärten mit sterilem Rasen und exotischer Bepflanzung. Heftig, oder?
Wir können aber etwas tun: Die 17 Millionen Gärten in Deutschland entsprechen laut NABU der Fläche aller unserer Naturschutzgebiete. Wenn jeder Garten (und Balkon) einen kleinen Beitrag zur Artenvielfalt leistet, dann wird das Wirkung zeigen!
Unsere Motivation ist ein Potential von 17 Millionen Gärten. Seid dabei und bringt Natur in euren Garten, wir zeigen euch wie.
Karte: © Bundesamt für Naturschutz (BfN) 2015 - Naturschutzgebiete in Deutschland
Fotogalerie - Unsere Fauna


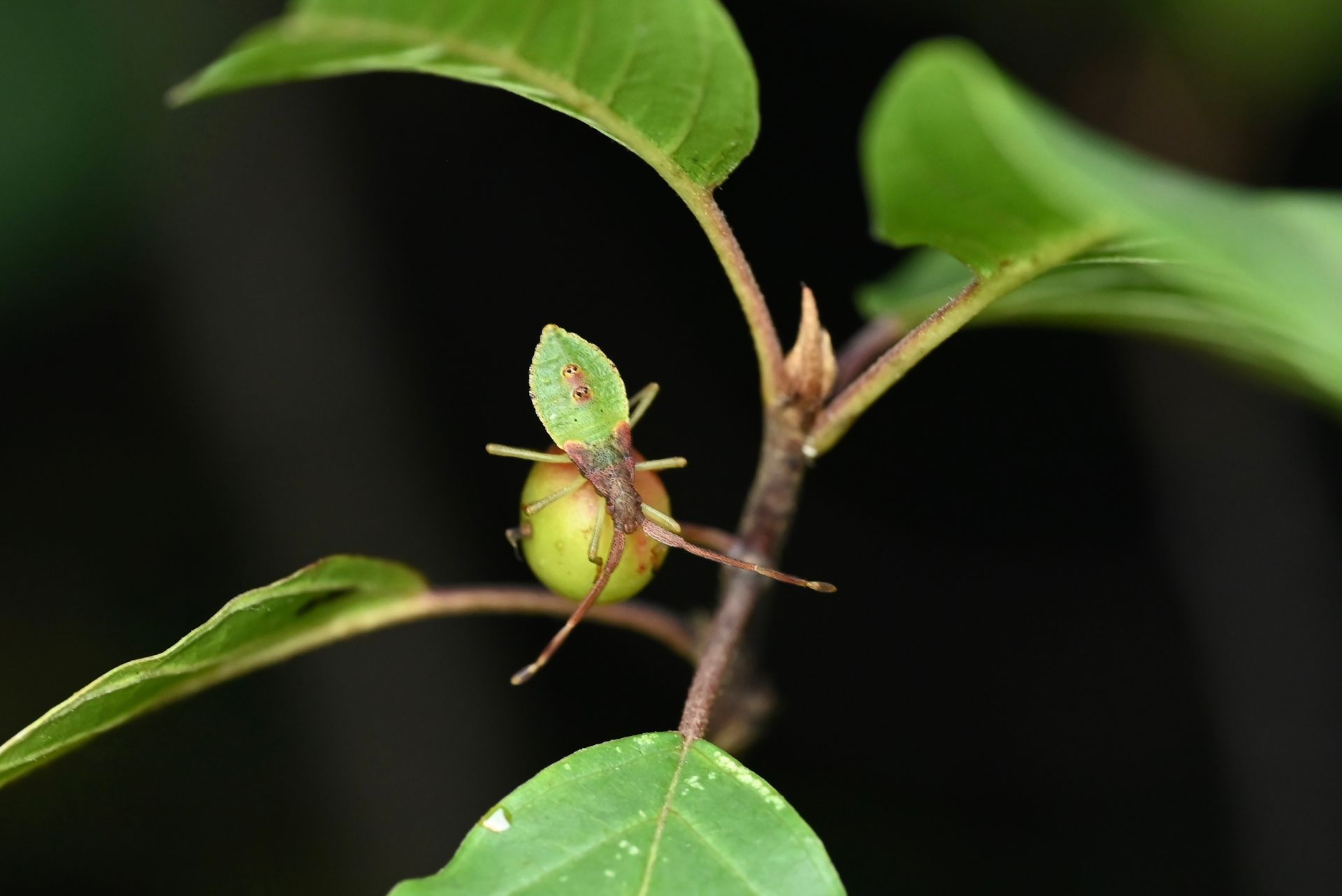
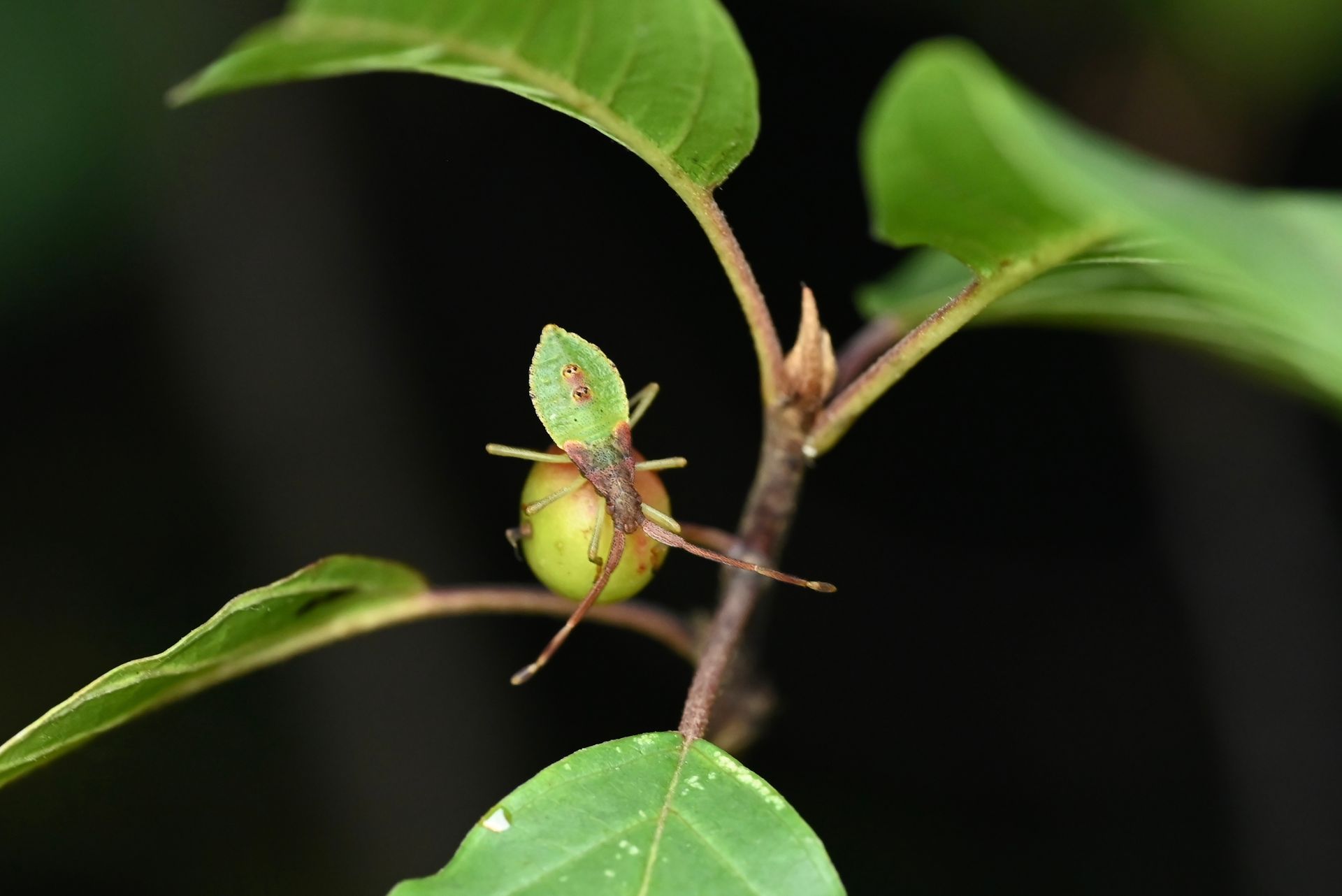
Wir haben in unserem Naturgarten über 1.000 Arten (Flora und Fauna, Stand: August 2025) mit Bild dokumentiert und bestimmt. Nahezu alle Beobachtungen sind in iNaturalist dokumentiert. Den größten Teil der Arten machen Insekten mit 664 Arten aus, gefolgt von den überwiegend heimischen Pflanzen mit 231 Arten und den Spinnentieren mit 43 Arten. Dazu kommen 33 Vogelarten, 12 Schneckenarten und weitere Tiere wie Reptilien, Amphibien und Kleinsäuger.
Eine Auswahl unserer Fotos veröffentlichen wir regelmäßig unten in unserer Fotogalerie. Übrigens: Alle Fotos sind (soweit nicht anders vermerkt) in unserem Garten entstanden. Das aktuelle Inventar an Arten findet ihr auf unserem iNaturalist-Projekt.
Für eine größere Ansicht einfach auf ein Bild klicken ...
Unsere Biotopelemente
1. Eigenes Mahdkonzept
Um die Artenvielfalt weiter zu fördern, wenden wir für unsere Wiesenbereiche seit 2022 ein eigenes, diversifiziertes Mahdkonzept an. Dieses beinhaltet für verschiedene Teile schonende Mahd im Herbst, Lichtstellung im Juli, Beweidungssimulation über die Vegetationszeit und überjähriges Stehenlassen.
2. Flachwassertteich
Im Frühjahr 2023 haben wir einen Lichtteich nach dem „NABU-Leitfaden Pflanzengesellschaften von Flachwassergartenteichen“ von Dr. Hans-Christoph Vahle gebaut. Nun wimmelt es hier schon von Wasserläufern, Bergmolchen und Grasfröschen. Der Teich misst etwa 8 x 3 Meter.
3. Wildblumenwiesen
Wir haben auf zwei jeweils ca. 15 Meter langen Streifen die Grasnarbe entfernt und mit Kalksteinschotter ordentlich abgemagert. Darauf haben wir eine gebietsheimische Wildblumenmischung ausgesät (Natternkopf, Lichtnelke, Wilde Karde, Skabiose, Wilde Möhre, Acker-Glockenblume, Königskerze etc.). Zur Themenseite "Heimische Wildpflanzen"
4. Lebensraum Totholz
Wir haben etliche Tonnen Totholz im Garten, ein Großteil befindet sich an einem großen Totholzplatz. Hier finden Zauneidechsen Unterschlupf, Wildbienen und Hornissen Baumaterial und viele Insektenarten Lebensraum im weichen Holz. Auch die große Holzbiene bekommt hier ihren Nachwuchs. Zur Themenseite "Totholz"
5. Wechselfeuchtes Biotop
Unser wechselfeuchtes Biotop ist aus einem Retentionsbecken entstanden, dass zur Regenwasserversickerung angelegt wurde. Inzwischen wachsen dort auf etwa 150 qm Weiden und Mädesüß. An den Steilwänden nisten Wildbienen, je nach Wasserstand kommen Rückenschwimmer, Teichläufer und Wasserläufer zu Besuch.
6. Sandarium
Die Mehrzahl unserer heimischen Wildbienen nistet im Boden, viele im Sand. Wir haben daher unseren Naturgarten um ein Sandarium, erweitert. Das Sandarium ist über 50 cm tief und mit ungewaschenem, pappigen Feinsand gefüllt. Inzwischen ist der Sand bei Wildbienen und Grabwespen recht beliebt, wie die vielen Nisteingänge bezeugen.
7. Trockenmauern
Lisa hat an verschiedenen Stellen Trockenmauern errichtet. Die Steine speichern tagsüber Wärme und geben sie nachts wieder ab. Teilweise werden sie auch von Eidechsen besiedelt. Unter den Steinen verstecken sich Molche, Tausendfüßler, Spinnen und andere scheue Lebewesen.

8. Reisighaufen
Unser Reisighaufen ist eigentlich kein Haufen mehr, sondern ein kleiner Berg. Dafür bietet er Unterschlupf für Igel und Brutmöglichkeiten für etliche Vogelarten. Allerdings sind die Nester so gut versteckt, dass man zur Brutzeit zwar regelmäßig Jungvögel hört, sie aber nicht zu sehen bekommt. Zur Themenseite "Totholz"

9. Kleinteiche
Wir haben vier Kleinteiche im Garten. Auf den Seerosenblättern oder den Wasserlinsen lassen sich Insekten beim Trinken beobachten. In den Teichen leben Wasserflöhe, Wasserschnecken, Libellen- und Köcherfliegenlarven und Molche. Natürlich gibt es "Ausstiegshilfen“ für ins Wasser gefallene Tiere.
10. Nisthilfen für Insekten
Im Garten gibt es zwei große Nistwände, die verschieden befüllt sind. Zusätzlich sind rund ums Haus Nistmöglichkeiten vor allem für Wildbienen und Wespen und ein Hornissenkasten angebracht. Für Wildbienen stehen über 12.000 Niströhren zur Verfügung. Zur Themenseite "Wildbienen Nisthilfen"

11. Nisthilfen für Vögel
Rund ums Haus und an den Bäumen haben wir aktuell kanpp 40 Nistkästen für verschiedene Vogelarten aufgehängt. Bild oben: Besonders stolz sind wir auf die vier in die Gebäudestruktur unter Dach (zwischen Sparren und Pfette) integrierten Nisthöhlen.

12. Benjeshecke
Die ursprüngliche Idee einer Benjeshecke ist, dass Samen durch Vogelkot oder Wind in das Reisig gelangt und dort keimen. Wir sehen sie eher als strukturierten Reisighaufen der Schutz und Lebensraum bietet. Eine Begrünung sehen wir als zweitrangig, zumal nicht vorhersehbar ist welche Samen darin überhaupt keimen.
13. Überjähriges Stehenlassen
Viele unserer heimischen Insekten überwintern als Larve, Ei oder ausgewachsenes Tier in abgestorbenen Pflanzenstängeln oder Grashalmen. Vögel finden im Winter Nahrung an stehengelassenen Samenständen.
Ein Teil unseres Wiesenbereichs bleibt im Wechsel überjährig als Altgras stehen, unsere Stauden vollständig.

14. Wildsträucherhecken
Auf insgesamt etwa 200 Meter haben wir Wildsträucherhecken gepflanzt. Diese bestehen u.a. aus Schlehe, Feldahorn, Pfaffenhütchen, Hartriegel, Kornelkirsche, Hagebutte, Sanddorn, Hainbuche und Liguster. Die Hecken bieten etlichen Vogelarten Schutz, Nahrung und Nistmöglichkeiten.
Zur Themenseite "Heimische Wildpflanzen"

15. Fledermausbeet
Um eine Baumscheibe herum haben wir ein Beet v.a. mit Nachtkerzen bepflanzt. Die sondern nachts einen Duft ab, der viele nachtaktive Insekten anlockt. Das zieht auch die Fledermäuse an, die wir hier im Sommer abends häufig beobachten können. In der Nähe haben wir ein Fledermausquartier aufgehängt.
16. Steine
Im Garten gibt es mehrere Steinhaufen, die von uns z.T. als Vorrat für geplante Trockenmauern angelegt wurden. Die Steine entstammen dem eigenen Grund und z.T. aus dem Nachbarort. Je nach Besiedelung wird ein Teil davon wahrscheinlich länger an Ort und Stelle verbleiben.

17. Nutzgarten
Wir haben einen klassischen Bauerngarten mit geschotterten Wegen, Buchsbaum rundherum und einer Rose in der Mitte. Pestizide und Kunstdünger sind tabu. Zwischen den Nutzpflanzen dürfen sich Borretsch und Ringelblumen ausbreiten. In der Blütezeit summen hier tausende Bienen und Hummeln.

18. Kräuterschnecke
Unsere Kräuterschnecke misst etwa 3 Meter im Durchmesser, verfügt über einen Miniteich und ist u.a. bepflanzt mit Salbei, Thymian, Ysop und Minze. Die Hohlräume zwischen den Steinen bieten prima Lebensraum für Molche, Spinnen und Insekten. In der Blüte dient die Kräuterschnecke zudem als Bienen- und Schmetterlingsweide.
19. Zugang zu offenem Erdboden
Viele Insekten, aber auch Zauneidechsen, nisten im offenen Erdboden. Darunter etwa 70% der heimischen Wildbienenarten. Außerdem benötigen viele Wildbienen Lehm um ihre Nistgänge zu verschließen. Daher sorgen wir in unserem Naturgarten immer für Stellen mit offenem, unbewachsenen Boden.
20. Blumenschotterrasen
An unserem Blumenschotterrasen siedeln sich wärmeliebende Pflanzen- und Tierarten an. Die trockentolerante Bepflanzung besteht u.a. aus Sandthymian, Trauben-Skabiose, Heidenelke, Lein, Lavendel und Mauerpfeffer. Alle diese Pflanzen sind wertvolle Pollenspender für zahlreiche Insekten.

21. Insektenfreundliches Licht
Wir haben alle Leuchten rund um unser Haus durch insektenfreundliche Beleuchtung ausgetauscht. Wir haben jetzt ein deutlich schwächeres Licht im warmen Farbspektrum (2000 Kelvin). Im Praxistest konnten wir kein einziges Insekt mehr beobachten, welches um die Lichtquelle flog.
22. Brennnessel-Ecken
Wir haben an mehreren Stellen bewußt Brennnesseln stehen lassen oder etabliert. Etwa 50 verschiedene Schmetterlingsarten legen ihre Eier an Brennnesseln ab. Viele davon, z.B. der Kleine Fuchs, der Admiral oder das Tagpfauenauge, sind auf Brennnesseln angewiesen und würden ohne sie aussterben.

23. Käferkeller
Oben Reisighaufen - unten ein ein Meter tiefer Käferkeller. Hier leben Käfer und ihre Larven in und von Totholz. Zusammen mit Pilzen zersetzen sie das Holz. Auch Tausendfüßler und Asseln finden hier ideale Lebensbedingungen. Zauneidechsen, Vögel und Igel wiederum freuen sich über einen gedeckten Tisch.

24. Fassadenbegrünung
Wir haben unsere Holzfassade z.T. mit Blauregen begrünt. Obwohl nicht einheimisch, wird der Blauregen in der Blüte von Bienen und Hummeln gut besucht. Auf die Blaue Holzbiene scheint er eine magische Anziehungskraft auszuüben. An der anderen Fassadenseite haben wir Gewöhnliche Waldrebe angepflanzt.
Ratgeber
Nutzen für Mensch und Natur
Das Bundesamt für Naturschutz fasst kurz und passend zusammen, was (v.a. naturnahe) Gärten für Mensch und Natur leisten:
Gärten dienen der Durchgrünung, Auflockerung und Gliederung von Städten und Dörfern. Als Trittsteine im Biotopverbund sowie als Lebensraum und Nahrungsquelle kommen ihnen wichtige Funktionen für den Artenschutz im Siedlungsraum zu. Zudem tragen Gärten zum Ausgleich des Wasserhaushalts und zur Sicherung der Bodenfunktionen bei und haben positive Wirkungen auf Kleinklima, Frischluftentstehung und -zirkulation.
Bundesamt für Naturschutz, veröffentlicht auf
nabu.de
Über uns
Wir sind die Familie Zwirner aus Langenau (Baden-Württemberg), bestehend aus Lisa, Oliver, unseren Kindern Frida und Henry, zwei Hunden, zwei Katzen, einem Pferd und einem Muli. Lisa arbeitet als Steinmetzin und als Pferdetrainerin, Oliver ist Wirtschaftsingenieur und Geschäftsführer bei einem Softwarehersteller sowie Beirat bei den Oldtimerfreunden Langenau. Frida und Henry gehen zur Schule.
Was uns vereint, ist unsere Liebe zur Natur und der Wunsch, unserer Natur etwas zurückzugeben. Wir sind u.a. aktiv in der
AG Donaumoos e.V. Langenau, Mitglied im
Naturgarten e.V., in der DGaaE Deutsche Gesellschaft für allgemeine und angewandte Entomologie, im BUND und im LBV Landesbund für Vogel- und Naturschutz e.V.
Fragen? Interesse an einer Gartenführung?
Wir bieten Führungen für Gruppen (idealerweise zwischen 10 - 20 Personen) gerne und kostenlos an: Ihr könnt einen Wunschtermin anfragen oder wir schlagen einen vor. Ihr helft uns danach sehr, wenn ihr uns kurzfristig Rückmeldung geben könnt, da wir unbestätigte Termine nicht lange freihalten können. WICHTIG: Bitte beachtet, dass ein Gartenbesuch ohne vorherige Absprache nicht möglich ist.
Wir freuen uns auf euch! Eure Familie Zwirner. Nutzt das Kontaktformular unten oder schreibt uns einfach eine Mail an: kontakt@naturgarten-langenau.de































































































































































































































